Melissa Becomes Category 5 Monster Storm as Jamaica Faces Direct Hit

Hurricane Melissa roared to Category 5 strength on Monday as it advanced toward Jamaica, bringing fears of devastating rain, flooding, and coastal inundation. Meteorologists warned that the storm could unleash up to 30 inches (76 centimetres) of rainfall, along with a powerful storm surge capable of causing severe destruction.
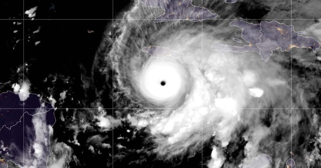
Expected to hit Jamaica on Tuesday, Melissa is projected to sweep across Cuba and the Bahamas through Wednesday, according to forecasts. The National Hurricane Center (NHC) in Miami located the storm’s centre roughly 130 miles (205 kilometres) south-southwest of Kingston, Jamaica, and about 315 miles (505 kilometres) south-southwest of Guantánamo, Cuba.
With maximum sustained winds reaching 160 mph (260 kph), the hurricane was creeping westward at only 3 mph (6 kph). The NHC classified Melissa as a Category 5 system — the most extreme level on the Saffir-Simpson scale — indicating sustained winds beyond 157 mph (250 kph). Meteorologists said it is the most powerful hurricane in recent history to directly strike Jamaica.
Parts of eastern Jamaica could see as much as 40 inches (1 metre) of rainfall, while areas in western Haiti might receive around 16 inches (40 centimetres), the hurricane centre warned. “Catastrophic flash flooding and numerous landslides are likely,” the advisory stated.
The slow pace of the system has already proved deadly, leaving at least three people dead in Haiti and another in the Dominican Republic, where one individual remains missing.
Meteorologists also warned that Melissa would make a second landfall later Tuesday in eastern Cuba. Hurricane warnings were issued for the provinces of Granma, Santiago de Cuba, Guantánamo, and Holguín, while Las Tunas remained under a tropical storm warning. Up to 20 inches (51 centimetres) of rain and significant coastal surges were expected across parts of the island.
Forecasters predicted a dangerous storm surge along Jamaica’s southern coastline, with water levels possibly climbing to around 13 feet (4 metres) above ground near and east of the storm’s centre. “Don’t make foolish decisions,” Transport Minister Daryl Vaz warned, urging residents to take the situation seriously.
In the Dominican Republic, Melissa’s heavy rains prompted the closure of schools and government offices on Monday in four of the nine provinces still under red alert. More than 750 homes were damaged, and some 3,760 people were displaced as floodwaters cut off access to 48 communities, officials reported.
Meanwhile, Haiti faced worsening conditions as the storm destroyed crops in three regions, wiping out 15 hectares (37 acres) of maize amid a deepening food crisis. According to the UN’s Food and Agriculture Organization, more than half of Haiti’s population—about 5.7 million people—is already experiencing crisis levels of hunger, including 1.9 million facing emergency conditions. “Flooding is obstructing access to farmland and markets, jeopardizing harvests and the winter agricultural season,” the agency said.
The NHC said Melissa would continue to dump torrential rain over southern Haiti and the southern Dominican Republic in the coming days.
Remember to share this article on Facebook and other Social Media Platforms. To submit your own articles or to advertise with us please send us an EMAIL at: [email protected]


Pingback: International News: Hurricane Melissa Declared a “Monster Storm” as Jamaica Faces Direct Threat